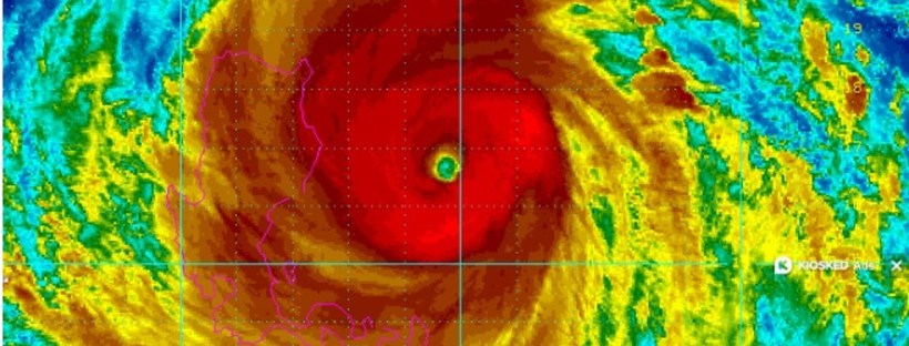
Typhoon Rai (Odette): Nightmare Before ChristmasĀ 

Just when you had everything planned out for the remainder of the year — your tasks, projects, finances, celebrations… the biggest typhoon of your life hit you — metaphorically and literally. 

We were minding our usual business… I was working and finishing my deadlines for the week and getting ready for client meetings. Mahal was busy with the resort. Everyone was working. Though we were getting news reports about an impending typhoon, upon checking, the eye of Typhoon Rai or locally known as Typhoon Odette won’t be hitting us but instead, it will head straight to Cebu City which is 3-4 hours away from where we are. We had plans of doing our Christmas shopping there that weekend so we figured that we just had to reschedule. Plus, we’ve already experienced so many kinds of weather conditions here that we became complacent. We felt confident that it’s just another one of those storms. There could possibly be a brownout (electricity getting cut off) that will last for an hour or two, or at the most overnight, but that was it. We didn’t do any kind of preparation at all — we didn’t save water; we didn’t charge our phones and electrical devices; we didn’t check if we still have enough gas; we didn’t buy supplies… nothing. It was as if it was just another day in our beach kind of life

Continue reading

Facebook, Instagram, and WhatsApp are Down Oct. 4, 2021 – Global Outage!

So here I am doing some work when all of a sudden I couldn’t access Facebook and Instagram. I tried most if not all browsers, but they’re all the same ——

This site can’t be reached. Check if there is a typo in www.facebook.com. DNS_PROBE_FINISHED_NXDOMAIN

Continue reading
Connected Women - Wiki EZ Vid

MomTraNeur Featured at Wiki.Ezvid.Com and Connected Women

OMG! OMG! OMG!!!

The month of May has been nothing but awesome for me and I’ll tell you 2 reasons why. I still have so many things to celebrate about this month which I’ll tell you before this month ends, but for now, here are two things that really got my heart racing! (I may be a little vain but hey, this doesn’t happen every day to everyone, so God, thank you for this honor!!!)

Here they are…

Continue reading

Lying on the beach

Covid-19: How It’s Affecting My Mental and Emotional Health

OVERVIEW

While most of you have probably been in quarantine / lockdown for about a month or so now, I’ve been imposing it on and off upon myself and my family since I first heard about the coronavirus in the news the last week of January. We were preparing for another batch of Hands-On Mushroom Training at that time when the Coronavirus Outbreak began circulating in the media. My ā€œprepperā€ instinct tingled and I started having worst-case scenario visions in my head. (“prepper” is a person who believes a catastrophic disaster or emergency is likely to occur in the future and makes active preparations for it, typically by stockpiling food, ammunition, and other supplies.) That was the time I started buying a little bit more than the usual number of masks and alcohol bottles we use for mushroom training just in case the outbreak becomes an epidemic, or worse, a pandemic. And because we had plans of going back to Cebu to set up another Mushroom farm, I almost decided not to go for fear of contracting the virus during our travel. This was around Jan. 25-28 when the rest of the world didn’t care much aboutĀ  the Coronavirus yet, and much less about preparing for it.

Continue reading

CDO Bloggers Group Featured In BusinessWeek Mindanao

How timely it is that after I became a member of the CDO Bloggers Group, the GTKY event we did in Seda Centrio when their new Misto food offerings were presented to us for tasting, was featured in BusinessWeek Mindanao (May 15, 2019). If I hadn’t attended the interview for newbie CDO Bloggers, I won’t be in this picture. I’m just so happy to be part of this group and to be included in the photo of the news feature!

Continue reading

The Jonas Brothers Are Back!!! I’m a Big Fan Here!!! (IT’S ALL COMING BACK, IT’S ALL COMING BACK TO ME NOW…)

So…. since I found out the other day that the Jonas Brothers are back together and just released their new single SUCKER, I am over the moon!!!! I’ve been listening to all their songs again, over and over and over and over… (you get the picture, lol).

I know, I know, I know. I’m 41 years old, I’m a mom of a young toddler, but whatever!!! I’ve followed them since their early years and I’ve been watching on repeat their teen TV series JONAS, and their movie with Demi Lovato CAMP ROCK all throughout my 30’s! OMG! I bought all their CD albums and I just love them! I’m having goosebumps!!! I seldom admire artists but for some reason I really love them!!! Joe Jonas has always been my favorite, but, OMG, Nick Jonas has gotten so much more of a hunk over the years! Kevin is always charming. And boy do I also love Sansa, este, Sophie Turner (Can’t wait for the final season of Game of Thrones on April 14!!!) Continue reading

rodrigoDuterte_oath_taking_6-30-16

A Stay-At-Home Mom’s Experience With The Current Duterte Administration

I am a full-time, stay-at-home mom and I seldom go out of the house except for weekly errands and holiday travels. And when we travel, I am busy minding our baby inside the car or busy looking at Waze for directions. Suffice it to say that I am not like most of the Filipino citizens who really experience the changes (some may say grave changes) that have been happening around the country day in and day out since Rodrigo Duterte took his seat as the Philippine President. But for me, as introverted as I am who normally don’t care about politics or what’s going on around the country, I think I have experienced enough so far to say that I have felt the change . Below are my experiences: Continue reading

Quick Typhoon Preparation Checklist: Super Typhoon Lawin (Haima)

Mahal and I love listening to the news and up until recently, it’s been all about the upcoming typhoon LAWIN which is why I want to share thisĀ quick typhoon preparation checklist below.Ā  Though we don’t want to get so worried, especially for our countrymen in the regions that will get directly hit by it, we can’t help but feel scared for them and very concerned. We really pray that all the preparations being done by the local government will help them and we pray for their survival of this very, very strong storm.

Super Typhoon Lawin with international name HAIMA, is now fast approaching and about 3 hours ago was already at 300 kilometers east of Casiguran, Aurora according to Rappler (featured photo from Rappler too). The provinces of Cagayan and Isabela are now at SIGNAL NO. 5 — a first in our country, which means that it is indeed a SUPER TYPHOON which will surely destroy most things on its path. So the whole of northern Luzon is on alert and the whole country is awaiting it and praying for its quick passage and littleĀ devastation. Continue reading